Ana Sayfa
Bilgi Bankası
Hastalık-Zararlı-Yabancı Ot Bilgi Bankası
Fungal Hastalıklar
Meyve, yaprak, sap hastalıkları
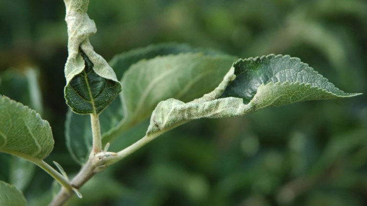
Elma küllemesi
Elma küllemesi
[Podosphaera leucotricha]
west
east
Yukarı